LOGGA IN / REGISTRERING
Artnr: 1726-019
Avslutad

Citroen Jumpy 2.0 HDI Skåp (TZC014) -03

Citroen Jumpy 2.0 HDI Skåp (TZC014) -03

Citroen Jumpy 2.0 HDI Skåp -03
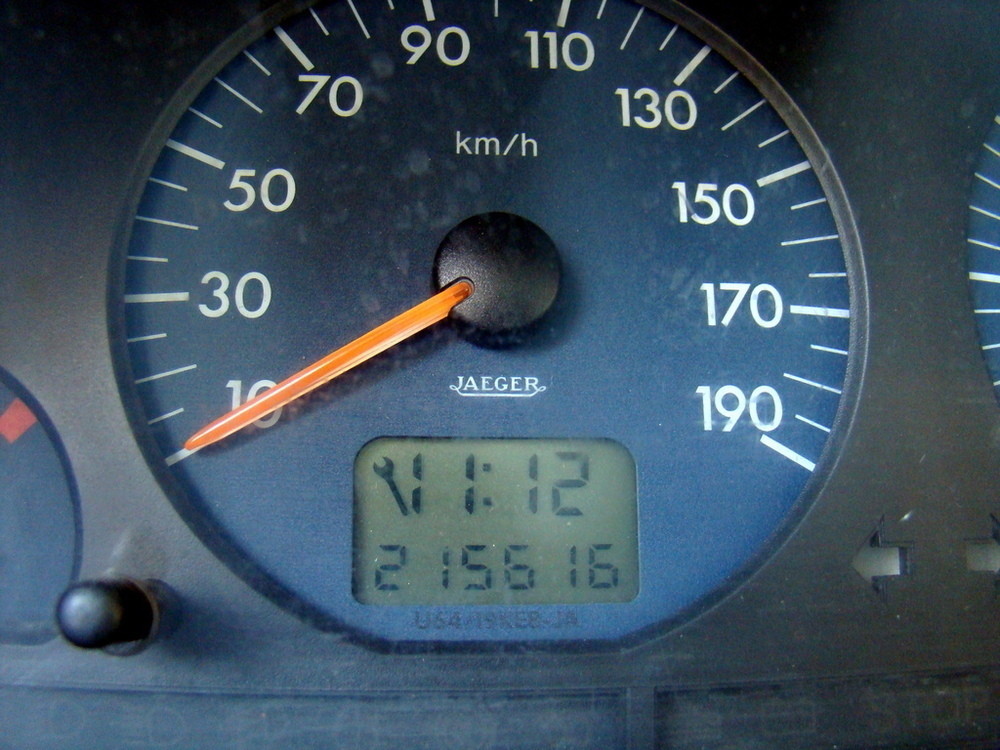
Vägmätarställning, ca: 21 561 mil

Citroen Jumpy 2.0 HDI Skåp. En skåpbil som efter service och rekond, passar bra för t.ex. småföretagaren eller hantverkaren som behöver en mindre skåpbil med bra lastförmåga.

Hantverksbil med bl.a följande utrusning:
Ställbar ratt, takhylla fram, CD-stereo, airbag förare, sätesvärme förare, el-hissar, elektriskt inställbara ytterbackspeglar, 3st dubbade vinterdäck på plåtfälg ca: 2-4 mm samt 1st sommardäck vänster fram ca: 4-5 mm, instruktions och servicebok senast stämplad 2008-08-22 vi 10 992 mil.

Anmärkningar:
Pulserande bromspedal vid inbromsning, kärvande lås på förarsidan, sidoskjutdörr går ej att öppna vid test, indikerar för service, kylarvatten har läckt ut ur expansionskärlet, företagsdekor, rost/bucklor och skrapmärken på flera ställen - se bilder!

Information från Transportstyrelsen:
Registreringsnummer: TZC014
Fordonsår: 2003
Fordonsslag: LB
Fordonsstatus: Avställd (2013-05-28)
Besiktningstermin: 2013-02-01 - 2013-06-30
Senast godkända besiktning: 2012-09-10
Körförbud:Ja
Årsskatt, kr: 3823
Kaross: Flak - Skåp (20)
Växellåda: MANUELL
Skattevikt, kg: 2310
Tjänstevikt, kg: 1530
Totalvikt, kg: 2310
Ursprunglig totalvikt, kg: 2310
Max släpvagnsvikt, kg: 1600
Max släpvagnsvikt kg, obromsad:
Släpvagns maximala totalvikt vid B-behörighet, kg: 1190
Släpvagns maximala totalvikt vid utökad B-behörighet, kg: 1940
Max sammanlagd bruttovikt, kg: 3910
Max lastvikt, kg: 780
Totalviktsfördelning kg, axel 1: 1230
Totalviktsfördelning kg, axel 2: 1080
Lastutrymmets längd, mm: 2060
Drivmedel 1: DIESEL
Motoreffekt, kW: 80,0
Längd, mm: 4450
Bredd, mm: 1810

Säljes för konkursbo utan garanti/reklamationsrätt. Utrustningen är ej fullständigt funktionstestad. Köpare bör undersöka varan vid utlämningen samt själv ombesörja för eventuell nedmontering samt transport.

Visning: Visning tisdag och torsdag kl 13.00 - 18.00 på Netauktions lager i Hisings Backa/Salsmästaregatan 25. Ring 031-171700 för att boka visningstid. Utlämning av inropat gods från nätauktion sker tisdag och torsdag kl 13.00 - 18.00. För ytterligare information, skicka mail till joel netauktion

Titta gärna på fler konkursauktioner under rubriken Auktioner

Utlämning: Inom 5 dagar efter avslutad auktion

Objektinformation

Citroen Jumpy 2.0 HDI Skåp -03
Vägmätarställning, ca: 21 561 mil

Citroen Jumpy 2.0 HDI Skåp. En skåpbil som efter service och rekond, passar bra för t.ex. småföretagaren eller hantverkaren som behöver en mindre skåpbil med bra lastförmåga.

Hantverksbil med bl.a följande utrusning:
Ställbar ratt, takhylla fram, CD-stereo, airbag förare, sätesvärme förare, el-hissar, elektriskt inställbara ytterbackspeglar, 3st dubbade vinterdäck på plåtfälg ca: 2-4 mm samt 1st sommardäck vänster fram ca: 4-5 mm, instruktions och servicebok senast stämplad 2008-08-22 vi 10 992 mil.

Anmärkningar:
Pulserande bromspedal vid inbromsning, kärvande lås på förarsidan, sidoskjutdörr går ej att öppna vid test, indikerar för service, kylarvatten har läckt ut ur expansionskärlet, företagsdekor, rost/bucklor och skrapmärken på flera ställen - se bilder!

Information från Transportstyrelsen:
Registreringsnummer: TZC014
Fordonsår: 2003
Fordonsslag: LB
Fordonsstatus: Avställd (2013-05-28)
Besiktningstermin: 2013-02-01 - 2013-06-30
Senast godkända besiktning: 2012-09-10
Körförbud:Ja
Årsskatt, kr: 3823
Kaross: Flak - Skåp (20)
Växellåda: MANUELL
Skattevikt, kg: 2310
Tjänstevikt, kg: 1530
Totalvikt, kg: 2310
Ursprunglig totalvikt, kg: 2310
Max släpvagnsvikt, kg: 1600
Max släpvagnsvikt kg, obromsad:
Släpvagns maximala totalvikt vid B-behörighet, kg: 1190
Släpvagns maximala totalvikt vid utökad B-behörighet, kg: 1940
Max sammanlagd bruttovikt, kg: 3910
Max lastvikt, kg: 780
Totalviktsfördelning kg, axel 1: 1230
Totalviktsfördelning kg, axel 2: 1080
Lastutrymmets längd, mm: 2060
Drivmedel 1: DIESEL
Motoreffekt, kW: 80,0
Längd, mm: 4450
Bredd, mm: 1810

Särskilda villkor

Säljes för konkursbo utan garanti/reklamationsrätt. Utrustningen är ej fullständigt funktionstestad. Köpare bör undersöka varan vid utlämningen samt själv ombesörja för eventuell nedmontering samt transport.

Visning och utlämning

Visning: Visning tisdag och torsdag kl 13.00 - 18.00 på Netauktions lager i Hisings Backa/Salsmästaregatan 25. Ring 031-171700 för att boka visningstid. Utlämning av inropat gods från nätauktion sker tisdag och torsdag kl 13.00 - 18.00. För ytterligare information, skicka mail till joel netauktion

Titta gärna på fler konkursauktioner under rubriken Auktioner

Utlämning: Inom 5 dagar efter avslutad auktion

AUKTIONSSFAKTA

Marknadsvärde: 10 000 kr ej avd. moms
Avslutas: 2014-03-30 20:42
Lagringsort: Hisings Backa

UTLÄMNINGSINFO

FAVORIT/PÅMINNELSE

SMS-MEDDELANDE